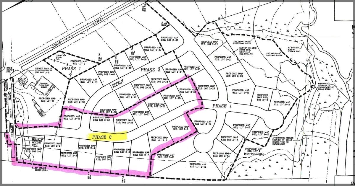
Brookfield Community Site Plan(1)

LaMontagne Builders Brookfield Community Manchester NH